Waldenbuch Liebenau VII
Waldenbuch Liebenau VII
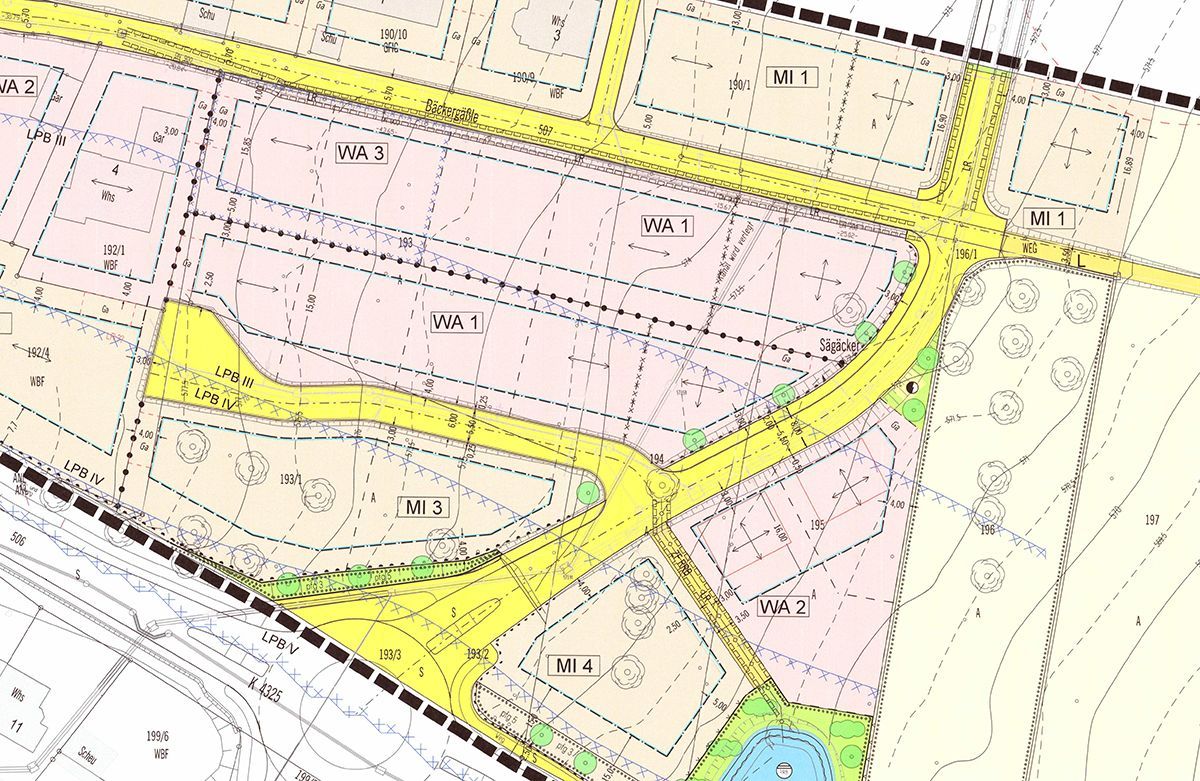
In der Stadt Waldenbuch erschließt die KBB In geologisch schwierigem Gelände das neue Wohngebiet „Liebenau VII“.
In dem ca. 1,2 ha großen Gebiet entstehen 17 Bauflächen für Einzel-, Doppel- und Mehrfamilienhäuser für insgesamt bis zu 45 neue Wohnungen.
In dem ca. 1,2 ha großen Gebiet entstehen 17 Bauflächen für Einzel-, Doppel- und Mehrfamilienhäuser für insgesamt bis zu 45 neue Wohnungen.
Alle Gebäude werden über Mehrspartenanschlüsse mit Wasser, Strom, Gas und Breitband (Glasfaser) versorgt.
Am 5. September 2020 begannen die Tiefbauarbeiten zur Erschließung des Neubaugebietes. Das Bauunternehmen Schwenk GmbH aus Unterensingen wird in den kommenden 7 Monaten die Kanalisation, Wasserleitung und den Straßenbau herstellen. Dazu sind Medien der Versorgungsträger für Strom, Gas, Telekommunikation und Breitband zu verlegen. Für den Hochwasserschutz entstehen am Nordrand ein neuer Feldweg und ein Graben, welche bei Starkniederschlägen für eine vorübergehende Rückhaltung des überschüssigen Wassers sorgen.
Der Baufortschritt
Hier dokumentieren wir den Baufortschritt über die gesamte Bauzeit von September 2020 bis zur Übergabe. Die Arbeitsschritte sind bei den einzelnen Fotos erläutert.
Hier dokumentieren wir den Baufortschritt über die gesamte Bauzeit von September 2020 bis zur Übergabe. Die Arbeitsschritte sind bei den einzelnen Fotos erläutert.
September 2020
Die Blocksteinmauer am Randweg ist erstellt und am Randgraben werden derzeit Blocksteine versetzt.

Mitte Juni 2023 haben die Erschließungsarbeiten zum Baugebiet „Neufeld Ost“ begonnen. Das Neubaugebiet liegt am südöstlichen Ortsrand des Ortsteils Grauelsbaum. Auf der zu überplanenden Bruttobaulandfläche von 1,2 ha bzw. der Nettobaulandfläche von 1,0 ha werden 21 Bauplätze zur Bebauung mit bis zu 3 Wohneinheiten je Grundstück entstehen. Die Bauzeit der Erschließungsarbeiten ist mit knapp einem Jahr veranschlagt und planmäßig soll ab Juli 2024 mit dem Hochbau begonnen werden können.

Das Baugebiet ist ca. 2 ha groß und es entstehen 23 Baugrundstücke, darunter eines für Geschoßwohnungsbau und eines zur Bebauung mit mehreren Gebäuden durch einen Bauträger. Im Juli wurde mit den Bauarbeiten begonnen und Mitte 2024 soll die Erschließungsanlage hergestellt sein. Insgesamt kostet die Erschließung ca. 4,2 Mio. €. Pro qm Bauplatzfläche sind ca. 280,- €/qm kalkuliert.

Am Donnerstag, 6. Juni 2023 fand der Spatenstich zum Beginn der Erschließungsarbeiten Baugebiet „Eulenschnabel“ statt. Das Neubaugebiet bildet die Fortführung des vormals erschlossenen Baugebiets „Im Dieterstal“. Auf der zu überplanenden Bruttobaulandfläche von 2,4 ha bzw. der Nettobaulandfläche von 1,6 ha werden 33 Bauplätze zur Einzelhausbebauung entstehen. Die Bauzeit der Erschließungsarbeiten ist mit knapp einem Jahr veranschlagt und planmäßig soll ab Juli 2024 mit dem Hochbau begonnen werden können.

Am Freitag, 8. September fand der Spatenstich zum Beginn der Erschließungsarbeiten Baugebiet „Bühli“ statt. Mit den Vorbereitungen zur Umsetzung des Baugebiets sind wir seit 2010 beschäftigt. Auf der zu überplanenden Bruttobaulandfläche von 6,28 ha bzw. der Nettobaulandfläche von 3,9 ha werden 65 Bauplätze entstehen. Die Bauzeit der umfangreichen Erschließungsarbeiten ist mit knapp 21 Monaten veranschlagt und planmäßig sollen ab Mitte Mai 2025 die Hochbaufreigaben erteilt werden können.

Neuffen, Eberhardtstraße In Neuffen fand dieser Tage der Baubeginn zu einem kleinem aber feinen Baugebiet nahe der Ortsmitte statt. Auf einem Areal von ca. 37 ar werden ca. 15 neue Bauplätze für Einzel- und Doppelhäuser entstehen. Die Entwicklung ist mit etwas mehr als einer halben Million Euro veranschlagt, was umgerechnet ca. 165€/qm ausmacht, die von den Bauplatzeigentümern direkt getragen werden. In kleiner Runde konnte Bürgermeister Matthias Bäcker am 26. März 2021 bei strahlendem Sonnenschein den ersten „Symbolischen Baggerbiss“ setzen. Bereits im Laufe des Juni diesen Jahres kann mit der Fertigstellung der Erschließungsarbeiten gerechnet werden.










