Neuffen - Eberhardtstraße
Neuffen, Eberhardtstraße
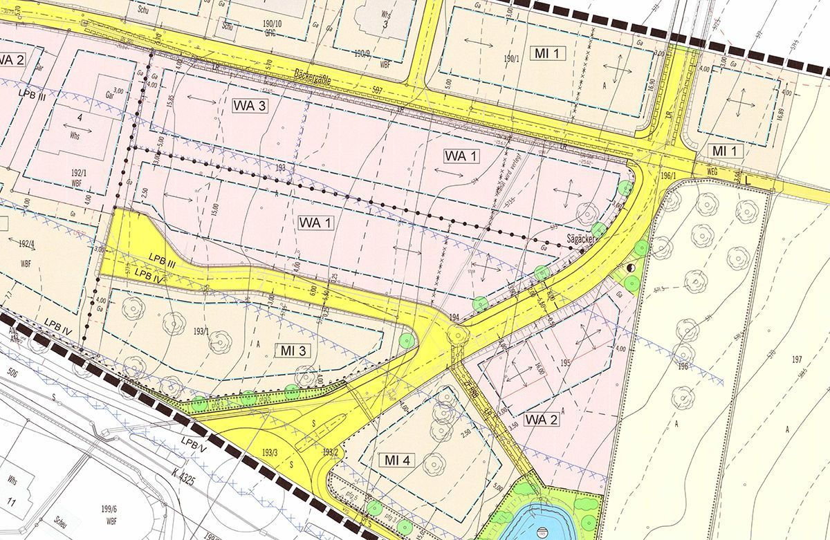
In Neuffen fand dieser Tage der Baubeginn zu einem kleinem aber feinen Baugebiet nahe der Ortsmitte statt.
Auf einem Areal von ca. 37 ar werden ca. 15 neue Bauplätze für Einzel- und Doppelhäuser entstehen.
Die Entwicklung ist mit etwas mehr als einer halben Million Euro veranschlagt, was umgerechnet ca. 165€/qm ausmacht, die von den Bauplatzeigentümern direkt getragen werden.
In kleiner Runde konnte Bürgermeister Matthias Bäcker am 26. März 2021 bei strahlendem Sonnenschein den ersten „Symbolischen Baggerbiss“ setzen. Bereits im Laufe des Juni diesen Jahres kann mit der Fertigstellung der Erschließungsarbeiten gerechnet werden.
Hier dokumentieren wir den Baufortschritt über die gesamte Bauzeit bis zur Übergabe. Die Arbeitsschritte sind bei den einzelnen Fotos erläutert.
Juni 2021
Bei schönstem Sonnenstrahl fand am Mittwoch, 23. Juni 2021 die Baugebietsübergabe statt.
März 2021
Baubeginn Ende März


















